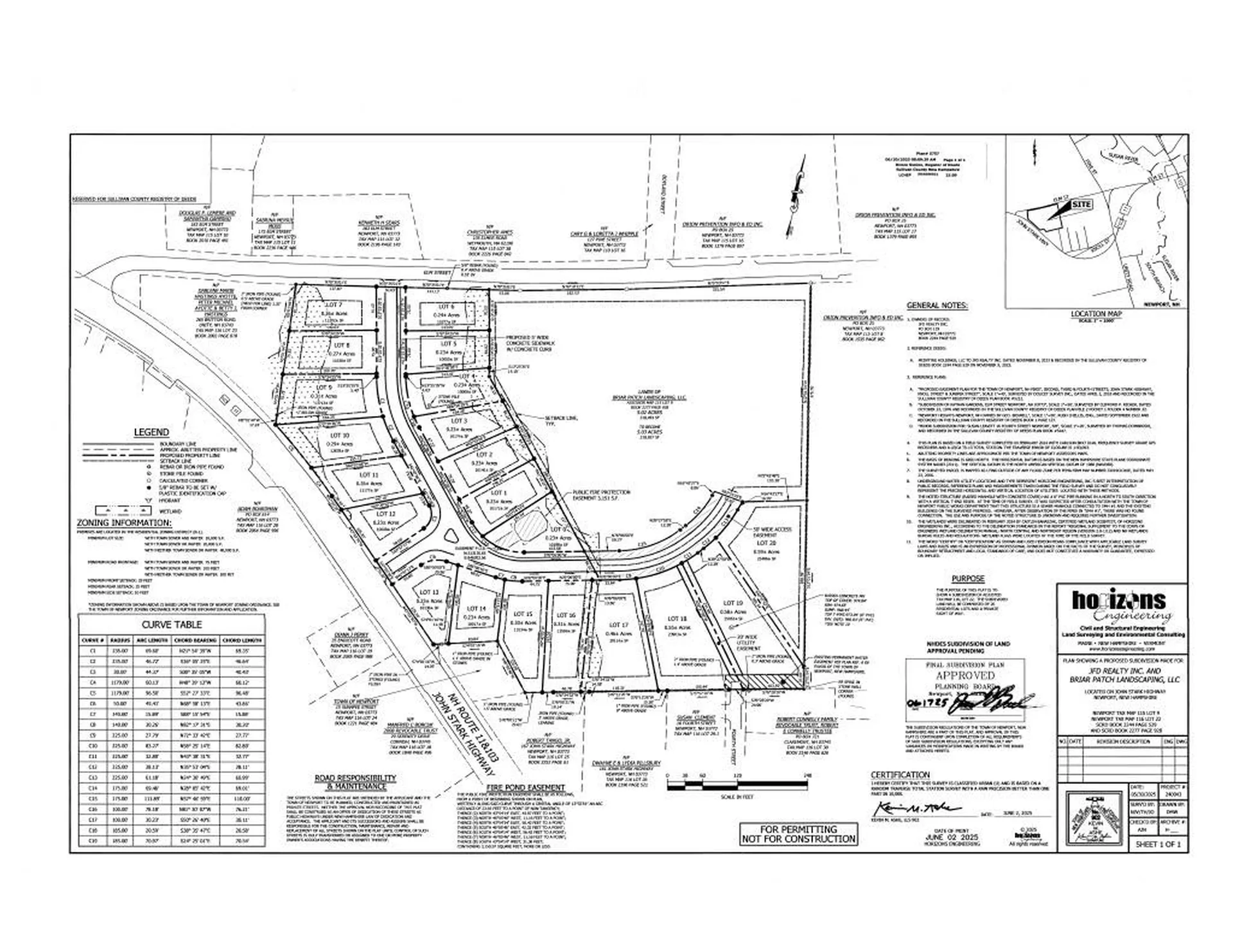
An exceptional opportunity for builders and investors-this 6.49-acre parcel in Newport is fully approved for a 20-home conventional subdivision plus one lot for common open space. With frontage on Elm Street (331 feet) and the well-traveled John Stark Highway (466 feet), the site offers strong visibility, dual access, and a central, walkable location ideal for residential development. Zoned R-1 and served by municipal water and sewer, the plan includes lots ranging from 0.23 to 0.59 acres, averaging 0.31 acres each. The four largest lots-0.46, 0.55, 0.58, and 0.59 acres-offer flexibility for varied home designs and pricing. Developers may also consider a denser cluster-style layout with expanded common space, subject to town approval. The site includes limited wetlands, fully accounted for in the approved plan, which supports all 20 home sites as designed. The property borders Kathan Gardens & Gifts and is less than one mile from Newport's historic downtown. It's just 10 minutes from Mount Sunapee Resort and 20 minutes from Route I-89, with convenient access to New Hampshire's year-round recreation activities. With approvals in hand and utilities at the street, this is a rare chance to build in one of Sullivan County's most charming towns.

Listing Tools

Property Details of 146 Elm Street

Property Details

Utilities and Appliances

Map Location

Broker Reciprocity 

Copyright 2025 PrimeMLS, Inc. All rights reserved. This information is deemed reliable, but not guaranteed. The data relating to real estate displayed on this display comes in part from the IDX Program of PrimeMLS. The information being provided is for consumers’ personal, non-commercial use and may not be used for any purpose other than to identify prospective properties consumers may be interested in purchasing. Data last updated November 18, 2025 12:22 AM EST

 

Hi there! How can we help you?

Contact us using the form below or give us a call.

Send Us A Message:

I agree to receive marketing and customer service calls and text messages from Shamberger Realty LLC. To opt out, you can reply 'stop' at any time or click the unsubscribe link in the emails. Consent is not a condition of purchase. Msg/data rates may apply. Msg frequency varies. Privacy Policy.

Do not fill in this field:

This site is protected by reCAPTCHA and the Google Privacy Policy and Terms of Service apply.

Hi there! How can we help you?

Contact us using the form below or give us a call.

Send Us A Message:

Do not fill in this field:

This site is protected by reCAPTCHA and the Google Privacy Policy and Terms of Service apply.

Hi there! How can we help you?

Contact us using the form below or give us a call.

Send Us A Message:

Do not fill in this field:

This site is protected by reCAPTCHA and the Google Privacy Policy and Terms of Service apply.

Do not fill in this field:

This site is protected by reCAPTCHA and the Google Privacy Policy and Terms of Service apply.

Do not fill in this field:

This site is protected by reCAPTCHA and the Google Privacy Policy and Terms of Service apply.

Do not fill in this field:

This site is protected by reCAPTCHA and the Google Privacy Policy and Terms of Service apply.

$

Do not fill in this field:

This site is protected by reCAPTCHA and the Google Privacy Policy and Terms of Service apply.